规划公示
(南开区)关于灵隐道(红旗路-政川路)道路工程建设工程设计方案的公示
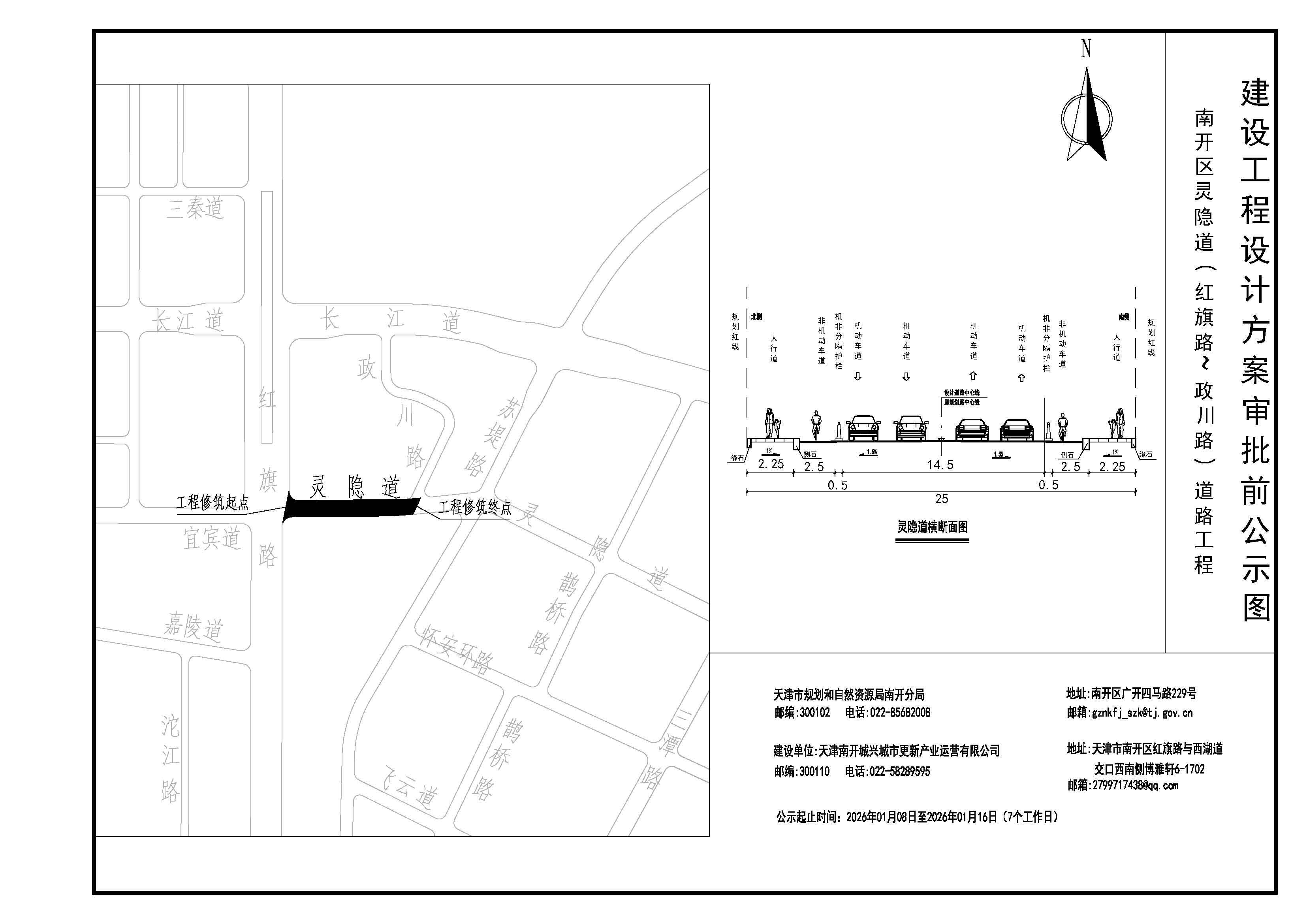
按照《中华人民共和国城乡规划法》要求,现将灵隐道(红旗路-政川路)道路工程 建设工程设计方案(位置示意图、横断面图)予以公示,公示时间为2026年01月08日至2026年01月16日。

欧博登录入口南开分局
2026年01月08日
按照《中华人民共和国城乡规划法》要求,现将灵隐道(红旗路-政川路)道路工程 建设工程设计方案(位置示意图、横断面图)予以公示,公示时间为2026年01月08日至2026年01月16日。

欧博登录入口南开分局
2026年01月08日
国务院相关部委
政府机关
局属单位网站
主办单位:欧博登录入口 地址:天津市和平区曲阜道84号 邮编:300042
网站标识码:1200000077 备案编号:津ICP备19001981号
津公网安备12010102000518号
版权所有:欧博登录入口